
| 概要 | 1年前コロナ開け初の海外で行ったが、何時もより透明度が悪く魚の群も少な目だったので再度挑戦。 ネットで名前は忘れたが、チュンポンピナクル、サウスウエストピナクル、セイルロックを1日で巡る物が有ったが いつの間にか無くなり、違うショップで同じ物(ゴールデントライアングル)と言う名で見つけ問合せ予約する。 催行人数(人数は明記していない)が有りだめかもしれないが其の時はセイルロックにいくので問題無し。 |
||
| 旅程 | 3回目のパンガン行きだが何故かいつもベトナムエアー、時期的にバンコク行きが安価になるのか。 前年は帰路にタオに寄り1日ダイビングしたが、透明度が最悪で今回は寄らずにパンガンで3日間のダイビング。 朝出発パンコク夕刻着ホテルで1泊翌早朝バスでチュンポンへ其処からボートでパンガン。ダイビング後 往路とは逆の道程で夜バンコク着で近くのカオサンで1泊1日半観光と買物夕刻空港へハノイ経由翌早朝関空着。 |
||
| 機材変更 | 出発の1か月位前メールが届き機材変更で関空、ハノイ間がB787からナロウボディに変更との事 座席は通路側で問題無いが少しがっかり。 恐らく人数が少ないからだろう、往復共日本人2、3割で少な目。 |
||
| 政府専用機 | ハノイ空港で政府専用機を発見、テレビとかでは良く見るが 実物は初めて。空港で待機中にネットで調べたら皇室の方が ベトナム国交50周年で訪問との事又首相が国連本会議で ニューヨークに行っているとも有り、日本~ハノイ~NY~ 日本~ハノイ~日本ととんぼ返りも出来無くはないのだろうが 現在ハノイに機体が駐機しているという事は 2機別々に行動をしているのだろう。 |
|||
| パンガン 島へ |
何時もと同じくカオサンのロンプラヤオフィス近くのホテルで1泊6時発のバスでチュンポンへいつも通り 休憩なしだが13時10分頃到着船に乗り替え13時半頃出発ナンユアン島、タオ島経由でパンガン島へ。 |
||
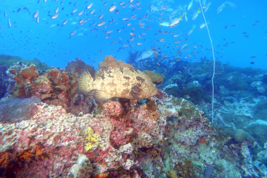
| ダイビング | ロータス・ダイビング | 1日目 | 1 | セイルロック | 2 | セイルロック |
| 2日目 | 1 | セイルロック | 2 | セイルロック |
| パンガン島 | セイルロック2日とゴールデントライアングル1日で考えていたがGTは無さそうなので、1日は島内を周る事にする。 | |||
| バンコクへ | 前日ロンプラヤオフィスで8時半発の船に乗るためのピックアップを予約しチュンポン経由バスでバンコクへ夜着。 | ||
| バンコク | 午後9時頃ホテル着の為行動は翌日から、カオサンのホテルに荷物を預け半日市内見物後、荷物を取りタクシーで 翌日のホテルに移動しプラティナム市場とMBKへ、飛行機が夕方発なので翌日半日市内見物と食材購入。 |
||
| ワット・パークナムパーシーチャルーンに行ったらすぐ近くに煌びやかなワット・クンチャンを見つけ寄る、地下鉄と徒歩で移動し ホーリーロサリー教会は鍵が掛かっていて中に入れず、ワット・プラシーマハウマティウィーは内部マスク着用と撮影禁止 |
| サイアム パラゴン |
バンコクでの買物でプラティナム市場からMBKに徒歩移動する際センセーブ運河を渡る所が 1箇所しか無くサイアムパラゴンの裏手を通ってMBKに行ったが数日前に銃乱射事件が有りとても驚いた。 |
||
|
![]() |
ホテルの情報は | ![]() |
| 飛行機・空港関係は | ![]() |